Įsiminti
Sklypas pardavimui, Vilniaus r. sav., Avižieniai, Gailašių g. id:1005612
132 000 €
12 000 €/a
REKLAMA
Įmoka
498 €/mėn

Paskola 112 200 €
Palūkanos 3.40%
Trukmė 30 metų
Įsiminė
0
Parodymai
Šiandien: 6
Viso: 489
Peržiūros
Šiandien: 0
Viso: 149
Objekto informacija
Įrengta
REKLAMA
REKLAMA
Aprašymas
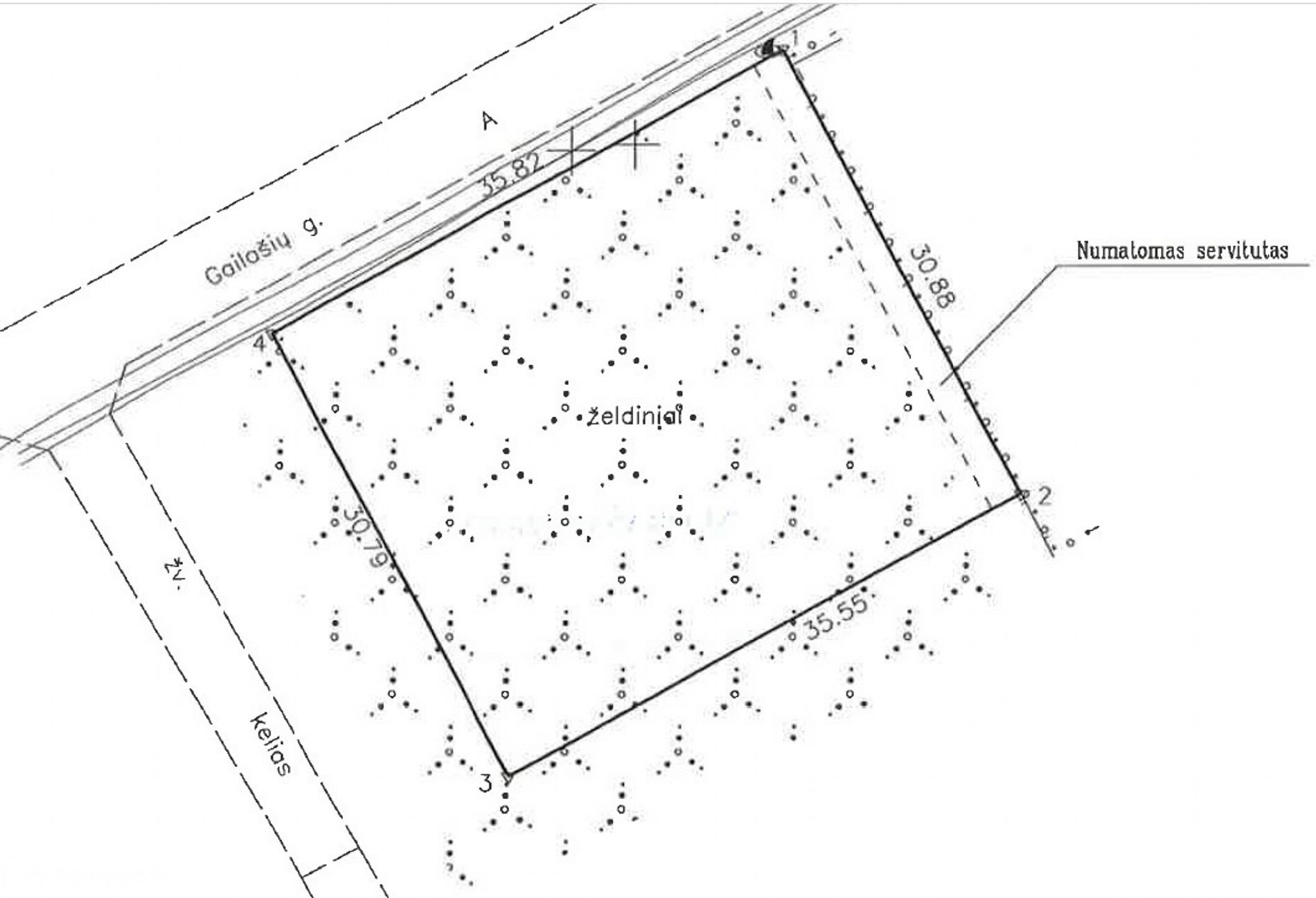
Vilniaus r., Avižienių sen., Avižienių k. parduodamas 11 a. namų valdos sklypas.
Geras susisiekimas su miestu. Iki centro ~ 12 km. Puikus variantas vystytojams: galima įsigyti šalia esantį 14.06 a. sklypą.
BENDRA INFORMACIJA
- Sklypo plotas 11 arų
- Paskirtis; Kita, naudojimo būdas – vienbučių ir dvibučių gyvenamųjų pastatų teritorijos
- Asfaltuotas privažiavimas
- Atlikti kadastriniai matavimai
KOMUNIKACIJOS
- Dujos
- Elektra
- Vandentiekis
- Nuotekos
- Lietaus kanalizacija
Visos komunikacijos ties sklypo riba.
Visus naujausius CAPITAL nekilnojamojo turto skelbimus rasite mūsų internetiniame puslapyje www.capital.lt. Kviečiame apsilankyti!
Geras susisiekimas su miestu. Iki centro ~ 12 km. Puikus variantas vystytojams: galima įsigyti šalia esantį 14.06 a. sklypą.
BENDRA INFORMACIJA
- Sklypo plotas 11 arų
- Paskirtis; Kita, naudojimo būdas – vienbučių ir dvibučių gyvenamųjų pastatų teritorijos
- Asfaltuotas privažiavimas
- Atlikti kadastriniai matavimai
KOMUNIKACIJOS
- Dujos
- Elektra
- Vandentiekis
- Nuotekos
- Lietaus kanalizacija
Visos komunikacijos ties sklypo riba.
Visus naujausius CAPITAL nekilnojamojo turto skelbimus rasite mūsų internetiniame puslapyje www.capital.lt. Kviečiame apsilankyti!
Nuotraukos















