Įsiminti
Sklypas pardavimui, Šventoji, Pušyno g. id:686475
400 000 €
100 000 €/ha
REKLAMA
Įmoka
1 508 €/mėn
Paskola 340 000 €
Palūkanos 3.40%
Trukmė 30 metų
Įsiminė
0
Parodymai
Šiandien: 2
Viso: 25538
Peržiūros
Šiandien: 5
Viso: 844
Objekto informacija
Aprašymas
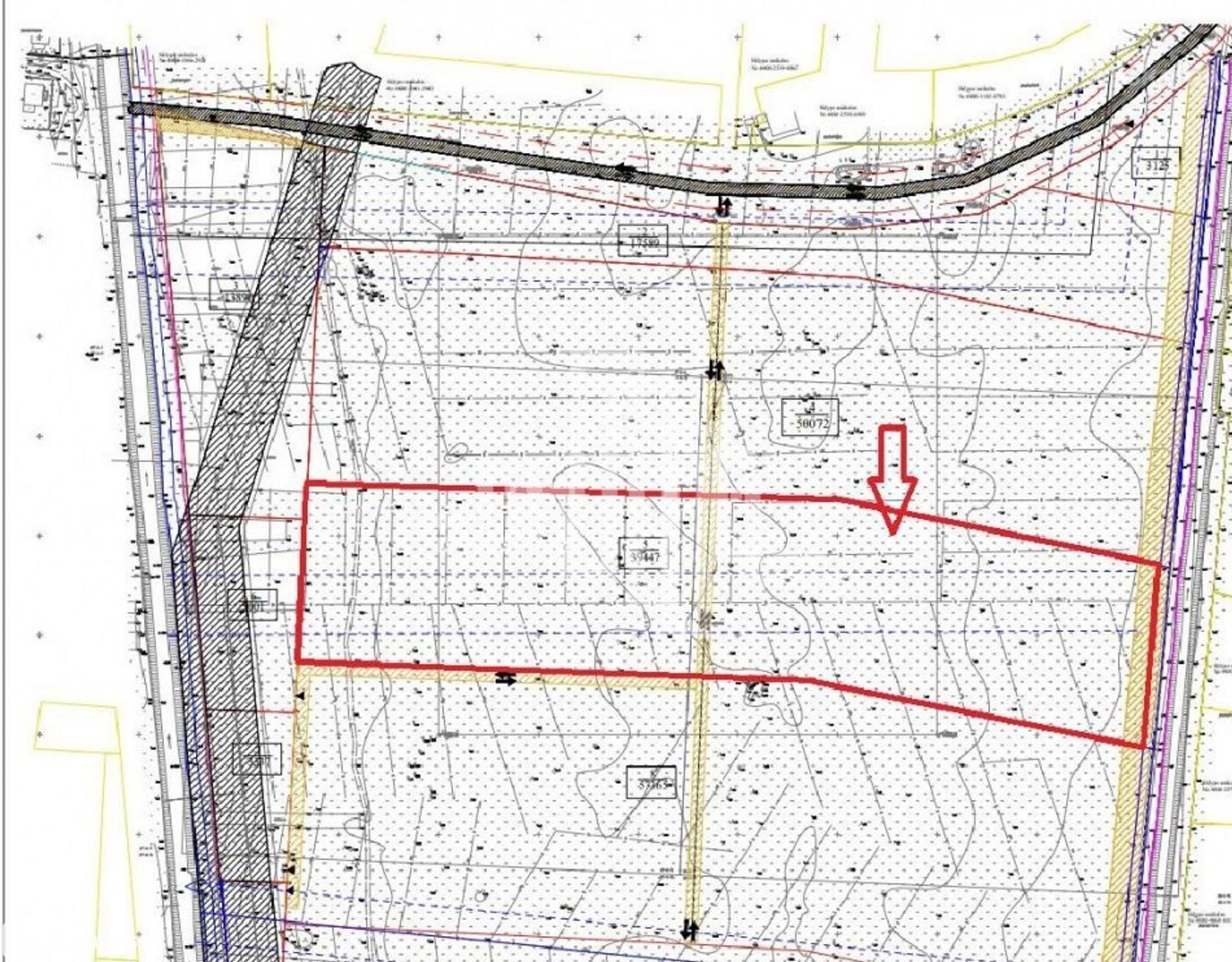
<p>Parduodama 4 ha dydžio žemės sklypo dalis.<br />
</p>
</p>

