Įsiminti
Sklypas pardavimui, Kauno r. sav., Šniūrai, Saulėtekio g. id:1032201
48 500 €
  2 836 €/a
REKLAMA
 
        Įmoka 
183 €/mėn
 Paskola 41 225 €
Palūkanos 3.40%
Trukmė 30 metų
Įsiminė
 0
Parodymai
 
          Šiandien: 38
 
          Viso: 92
 Peržiūros
 
          Šiandien: 20
 
          Viso: 41
 Objekto informacija
Įrengta
      REKLAMA
      
 
      REKLAMA
      
 Aprašymas
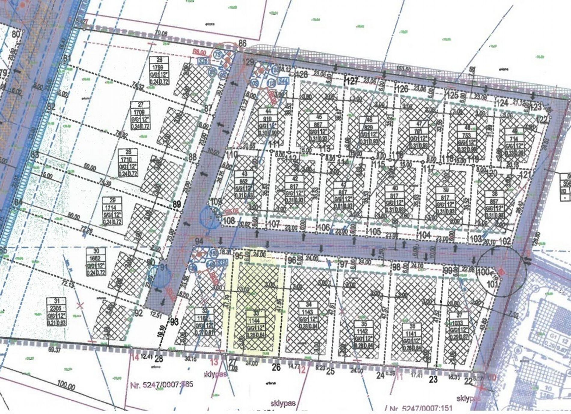
Parduodami sklypai Šniūrų k. Kauno r.
• Paskirtis: Kita. Vienbučių dvibučių teritorijos;
• Pažymymėta vieta : https://regia.lt/map/regia2?x=489863&y=6077112&scale=1000&identify=true&sluo_ids=22,250,251,72,148,252,270,271,272,273,274,275,276,277,280,281,282,283,284,285,287,288,27,190,28,29,30,31,25,135,136,137,138,139,291,140
• Atliktas ir patvirtintas teritorijos detalus planas;
• Užstatymas: 24%; Tankis: 0,72;
• Komunikacijos: kvartale numatytos vietinės komunikacijos;
• Elektra: gretimame sklype;
• Suformuoti keliai; Iki asfaltuoto kelio keli šimtai metrų;
• Kaimynystė: kvartale pastatyta keletas nuosavų namų;
• Netoliese: Mastaičių baseinas, policijos mokykla, darželis „Maminukų slėnis“;
• Artimiausios kitos mokyklos ir darželiai Garliavos mieste;
• Puikus susisiekimas su Kauno miesto mikrorajonais ar Kauno r. gyvenvietėmis;
Laisvi sklypai :
• Kauno r. sav., Alšėnų sen., Šniūrų k., Pašvaistės g. 12(10,33a);
• Kauno r. sav., Alšėnų sen., Šniūrų k., Pašvaistės g. 13 ( 8,17a);
• Kauno r. sav., Alšėnų sen., Šniūrų k., Pašvaistės g. 14 (11,41a);
• Kauno r. sav., Alšėnų sen., Šniūrų k., Pašvaistės g. 15 (8,17a);
• Kauno r. sav., Alšėnų sen., Šniūrų k., Pašvaistės g. 16 ( 11,42a);
• Kauno r. sav., Alšėnų sen., Šniūrų k., Pašvaistės g. 11 (8,57a);
  • Paskirtis: Kita. Vienbučių dvibučių teritorijos;
• Pažymymėta vieta : https://regia.lt/map/regia2?x=489863&y=6077112&scale=1000&identify=true&sluo_ids=22,250,251,72,148,252,270,271,272,273,274,275,276,277,280,281,282,283,284,285,287,288,27,190,28,29,30,31,25,135,136,137,138,139,291,140
• Atliktas ir patvirtintas teritorijos detalus planas;
• Užstatymas: 24%; Tankis: 0,72;
• Komunikacijos: kvartale numatytos vietinės komunikacijos;
• Elektra: gretimame sklype;
• Suformuoti keliai; Iki asfaltuoto kelio keli šimtai metrų;
• Kaimynystė: kvartale pastatyta keletas nuosavų namų;
• Netoliese: Mastaičių baseinas, policijos mokykla, darželis „Maminukų slėnis“;
• Artimiausios kitos mokyklos ir darželiai Garliavos mieste;
• Puikus susisiekimas su Kauno miesto mikrorajonais ar Kauno r. gyvenvietėmis;
Laisvi sklypai :
• Kauno r. sav., Alšėnų sen., Šniūrų k., Pašvaistės g. 12(10,33a);
• Kauno r. sav., Alšėnų sen., Šniūrų k., Pašvaistės g. 13 ( 8,17a);
• Kauno r. sav., Alšėnų sen., Šniūrų k., Pašvaistės g. 14 (11,41a);
• Kauno r. sav., Alšėnų sen., Šniūrų k., Pašvaistės g. 15 (8,17a);
• Kauno r. sav., Alšėnų sen., Šniūrų k., Pašvaistės g. 16 ( 11,42a);
• Kauno r. sav., Alšėnų sen., Šniūrų k., Pašvaistės g. 11 (8,57a);
Nuotraukos
 
 
 
 
 
 
 
 
 
 
 
 