Įsiminti
Sklypas pardavimui, Kauno r. sav., Bajorai, Gelžkeliuko g. id:1029647
54 900 €
1 098 €/a
REKLAMA
Įmoka
207 €/mėn

Paskola 46 665 €
Palūkanos 3.40%
Trukmė 30 metų
Įsiminė
0
Parodymai
Šiandien: 102
Viso: 102
Peržiūros
Šiandien: 28
Viso: 28
Objekto informacija
REKLAMA
REKLAMA
Aprašymas
PARDUODAMAS DIDELIS GYVENAMOSIOS PASKIRTIES SKLYPAS GELŽKELIUKO G., BAJORŲ K., KAUNO RAJ.
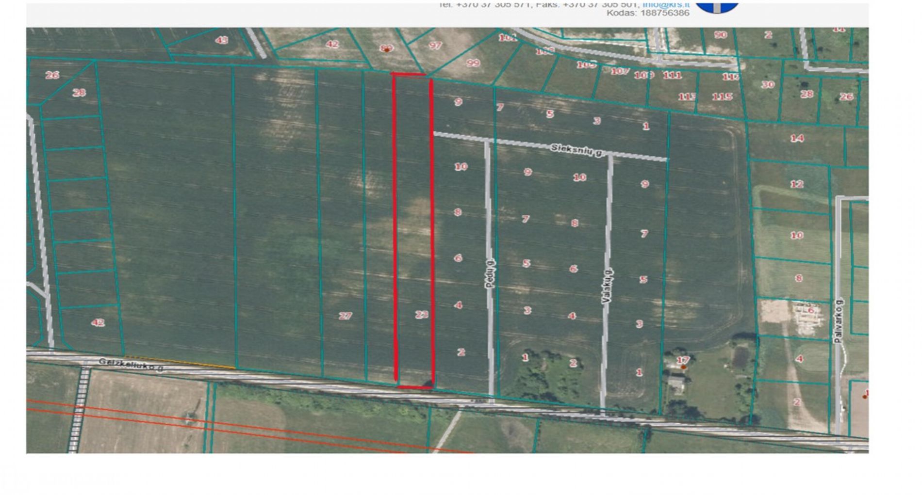
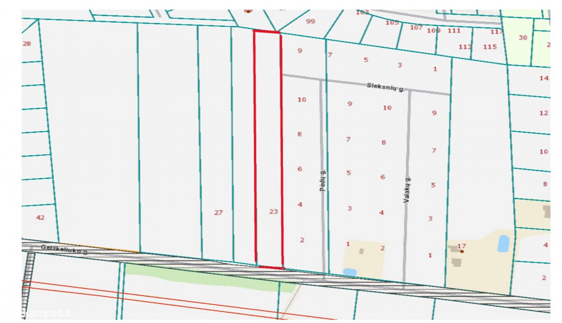
Kauno r., Bajorų k., parduodamas 49,9 a gyvenamosios paskirties (vienbučių ir dvibučių gyvenamųjų namų statybos) žemės sklypas. Sklypas yra formuojamų individualių sklypų jaukioje draugiškoje kaimynystėje.
Patogus privažiavimas, geras susisiekimas, rami gyvenvietė. Tai puiki vieta ramybės oazėje ir kartu arti miesto. Tiesus išvažiavimas į magistralinį kelią A5.
------------------------------------------------------------------------------------------
BENDRA INFORMACIJA:
• Vieta – Gelžkeliuko g. 23, Bajorų k, Ringaudų sen., Kauno r.;
• Sklypo plotas – 0,4990 ha;
• Kadastriniai matavimai;
• Paskirtis – vienbučių ir dvibučių gyvenamųjų namų statybos;
• Sklypo išmatavimai: ilgis 232,33 m, plotis 21,80 m.
• Elektros pastotė už 500 m.
------------------------------------------------------------------------------------------
INFRASTRUKTŪRA:
- Iki Kauno miesto centro 16,4 km.
____________________________________
DĖL IŠSAMESNĖS INFORMACIJOS AR APŽIŪROS KREIPTIS Į BROKERĘ AISTĘ VAKSMANĘ.
8 698 32010 arba [email protected]
Netinka objektas? Kreipkitės – rasime alternatyvų.
PARDUODATE? Skambinkite – nemokamai konsultuojame, nemokamai nustatome Jūsų objekto rinkos kainą.
NT agentams – kviečiame bendradarbiauti!
Visus naujausius CAPITAL nekilnojamojo turto skelbimus rasite mūsų internetiniame puslapyje www.capital.lt. Kviečiame apsilankyti!
Kauno r., Bajorų k., parduodamas 49,9 a gyvenamosios paskirties (vienbučių ir dvibučių gyvenamųjų namų statybos) žemės sklypas. Sklypas yra formuojamų individualių sklypų jaukioje draugiškoje kaimynystėje.
Patogus privažiavimas, geras susisiekimas, rami gyvenvietė. Tai puiki vieta ramybės oazėje ir kartu arti miesto. Tiesus išvažiavimas į magistralinį kelią A5.
------------------------------------------------------------------------------------------
BENDRA INFORMACIJA:
• Vieta – Gelžkeliuko g. 23, Bajorų k, Ringaudų sen., Kauno r.;
• Sklypo plotas – 0,4990 ha;
• Kadastriniai matavimai;
• Paskirtis – vienbučių ir dvibučių gyvenamųjų namų statybos;
• Sklypo išmatavimai: ilgis 232,33 m, plotis 21,80 m.
• Elektros pastotė už 500 m.
------------------------------------------------------------------------------------------
INFRASTRUKTŪRA:
- Iki Kauno miesto centro 16,4 km.
____________________________________
DĖL IŠSAMESNĖS INFORMACIJOS AR APŽIŪROS KREIPTIS Į BROKERĘ AISTĘ VAKSMANĘ.
8 698 32010 arba [email protected]
Netinka objektas? Kreipkitės – rasime alternatyvų.
PARDUODATE? Skambinkite – nemokamai konsultuojame, nemokamai nustatome Jūsų objekto rinkos kainą.
NT agentams – kviečiame bendradarbiauti!
Visus naujausius CAPITAL nekilnojamojo turto skelbimus rasite mūsų internetiniame puslapyje www.capital.lt. Kviečiame apsilankyti!
Nuotraukos










Kontaktai
UAB Vativa
Skelbėjas:
Capital Top