Įsiminti
Namas pardavimui, Elektrėnų sav., Kareivonys, Saulės g. id:1031969 5 kmb.
165 000 €
1 107 €/m²
REKLAMA
Įmoka
622 €/mėn
Paskola 140 250 €
Palūkanos 3.40%
Trukmė 30 metų
Įsiminė
0
Parodymai
Šiandien: 49
Viso: 367
Peržiūros
Šiandien: 4
Viso: 37
Objekto informacija
REKLAMA
REKLAMA
Aprašymas
Parduodamas dalinės apdailos dviejų aukštų namas Naujųjų Kietaviškių gyvenvietėje, Elektrėnų sav. Tai puikus pasirinkimas ieškantiems erdvaus sklypo ir patogiai išplanuoto gyvenamojo būsto gamtos apsuptyje.
--------------------------------
PRIVALUMAI:
• Praktiškai ir funkcionaliai suplanuotos erdvės;
• Erdvūs kambariai;
• Patogi namo lokacija, ramioje vietoje;
• Kraštinis, erdvus, lygus sklypas;
• Asfaltuotas kelias beveik iki pat sklypo;
• Visos miesto komunikacijos;
--------------------------------
BENDRA INFORMACIJA:
• A+ energinio naudingumo klasė;
• Plotas: 149 kv.m;
• Namo statybos metai - 2025 m.;
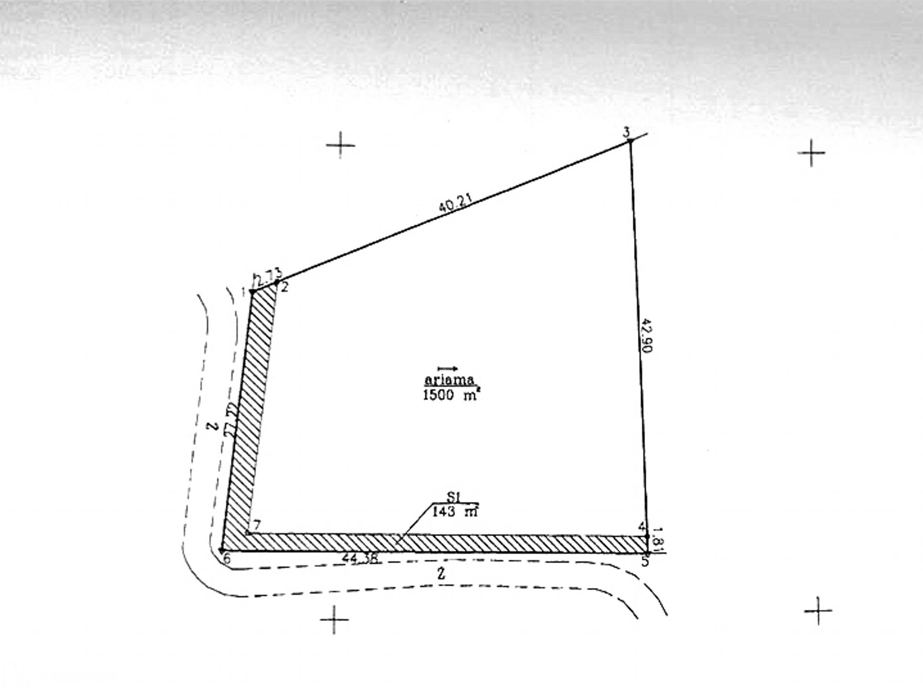
• Sklypo plotas: 15 a;
• Kambarių skaičius: 4/5;
• Aukštų skaičius: 2;
• Pastato tipas: mūrinis.
--------------------------------
KOMUNIKACIJOS:
• Elektra: išvedžioti laidai, galingumas 6 kW (galima padidinti);
• Šildymas: numatoma sistema oras - vanduo arba dujos (dujos šalia sklypo), išvedžiotas grindinis šildymas;
• Vandentiekis: miesto;
• Kanalizacija: miesto, vamzdynai viduje išvedžioti iki taškų;
• Įrengta lietaus vandens nuvedimo sistema.
--------------------------------
TECHNINĖ INFORMACIJA, ĮRENGIMAS SU DALINE APDAILA:
• Pamatai: rostverkas, apšiltinti putų polistirolu (25cm);
• Sienos: mūrytos iš keramikinių blokelių (LODE, 25 cm);
• Fasadas: apšiltintas (20 cm putų polisterolis), užarmuotas, ištinkuotas, paruoštas dėti dekorą;
• Pertvaros: suformuotos iš keramikinių blokelių (25 cm);
• Stogas: skarda;
• Grindys: išbetonuotos, apšiltintos (20 cm), išvedžiotas grindinis šildymas;
• Langai: „Kommerling“, plastikiniai, atitinka A++ klasę;
• Lauko durys: „Rehau“, plastikinės, atitinka A++ klasę;
• Aplinka: išlygintas sklypas.
--------------------------------
IŠPLANAVIMAS:
I aukštas:
svetainė-valgomasis: 34.20 kv.m.,
darbo kambarys: 15.30 kv.m.,
vonios kambarys: 7.89 kv.m.,
tambūras: 6.48 kv.m.,
koridorius: 6.83 kv.m.,
techninė patalpa: 7.42 kv.m.,
sandėliukas: 1.49 kv.m.
II aukštas:
miegamasis kambarys (17.62 kv.m.) su drabužine (8.70 kv.m.),
miegamasis/vaikų kambarys: 16.97 kv. m.,
vonios kambarys: 7.89 kv.m.,
holas/darbo/poilsio erdvė: 16.71 kv.m.
--------------------------------
LOKACIJA:
• Saulės g. 4, Kareivonių k., Kietaviškių sen., Elektrėnų r. sav. (google maps: Saulės g. 4, Naujosios Kietaviškės, 21411 Elektrėnų sav.);
• Iki Elektrėnų ~ 8 km;
• Iki Vilniaus miesto ~ 50 km;
• Iki Kauno miesto ~ 50 km
• Artimiausias darželis:
~ 8 km Elektrėnų vaikų lopšelis-darželis "Drugelis";
~ 9 km Elektrėnų lopšelis-darželis "Pasaka".
• Artimiausia mokymo įstaiga:
~ 100 m Kietaviškių pagrindinė mokykla;
~ 7 km Elektrėnų "Ąžuolyno" progimnazija;
~ 8 km Elektrėnų pagrindinė mokykla;
• Artimiausia parduotuvė
~ 240 m. "Kalno" parduotuvė;
~ 1,5 km "Giris" parduotuvė;
~ 5,3 km "Aibė" Liutonyse
~ 7,5 km „Maxima" Elekrėnuose
SKLYPO KORDINATĖS:
54.761045, 24.593695 Visus naujausius CAPITAL nekilnojamojo turto skelbimus rasite mūsų internetiniame puslapyje www.capital.lt. Kviečiame apsilankyti!
MALONIAI KVIEČIAME ATVYKTI IR PAMATYTI NAMĄ GYVAI!
Ieškote, parduodate ar nuomojate nekilnojamąjį turtą?
- Visada rasiu laiko Jums ir padėsiu visais su nekilnojamuoju turtu susijusiais klausimais!
Netiko kaina? Teikite savo pasiūlymą - būtinai apsvarstysime!
SKAMBINTI GALITE IR SAVAITGALIAIS - sutarsime Jums patogų apžiūros laiką.
_________________________
RIČARDAS NOSEVIČIUS
Mob. tel.: +37061817321
--------------------------------
PRIVALUMAI:
• Praktiškai ir funkcionaliai suplanuotos erdvės;
• Erdvūs kambariai;
• Patogi namo lokacija, ramioje vietoje;
• Kraštinis, erdvus, lygus sklypas;
• Asfaltuotas kelias beveik iki pat sklypo;
• Visos miesto komunikacijos;
--------------------------------
BENDRA INFORMACIJA:
• A+ energinio naudingumo klasė;
• Plotas: 149 kv.m;
• Namo statybos metai - 2025 m.;
• Sklypo plotas: 15 a;
• Kambarių skaičius: 4/5;
• Aukštų skaičius: 2;
• Pastato tipas: mūrinis.
--------------------------------
KOMUNIKACIJOS:
• Elektra: išvedžioti laidai, galingumas 6 kW (galima padidinti);
• Šildymas: numatoma sistema oras - vanduo arba dujos (dujos šalia sklypo), išvedžiotas grindinis šildymas;
• Vandentiekis: miesto;
• Kanalizacija: miesto, vamzdynai viduje išvedžioti iki taškų;
• Įrengta lietaus vandens nuvedimo sistema.
--------------------------------
TECHNINĖ INFORMACIJA, ĮRENGIMAS SU DALINE APDAILA:
• Pamatai: rostverkas, apšiltinti putų polistirolu (25cm);
• Sienos: mūrytos iš keramikinių blokelių (LODE, 25 cm);
• Fasadas: apšiltintas (20 cm putų polisterolis), užarmuotas, ištinkuotas, paruoštas dėti dekorą;
• Pertvaros: suformuotos iš keramikinių blokelių (25 cm);
• Stogas: skarda;
• Grindys: išbetonuotos, apšiltintos (20 cm), išvedžiotas grindinis šildymas;
• Langai: „Kommerling“, plastikiniai, atitinka A++ klasę;
• Lauko durys: „Rehau“, plastikinės, atitinka A++ klasę;
• Aplinka: išlygintas sklypas.
--------------------------------
IŠPLANAVIMAS:
I aukštas:
svetainė-valgomasis: 34.20 kv.m.,
darbo kambarys: 15.30 kv.m.,
vonios kambarys: 7.89 kv.m.,
tambūras: 6.48 kv.m.,
koridorius: 6.83 kv.m.,
techninė patalpa: 7.42 kv.m.,
sandėliukas: 1.49 kv.m.
II aukštas:
miegamasis kambarys (17.62 kv.m.) su drabužine (8.70 kv.m.),
miegamasis/vaikų kambarys: 16.97 kv. m.,
vonios kambarys: 7.89 kv.m.,
holas/darbo/poilsio erdvė: 16.71 kv.m.
--------------------------------
LOKACIJA:
• Saulės g. 4, Kareivonių k., Kietaviškių sen., Elektrėnų r. sav. (google maps: Saulės g. 4, Naujosios Kietaviškės, 21411 Elektrėnų sav.);
• Iki Elektrėnų ~ 8 km;
• Iki Vilniaus miesto ~ 50 km;
• Iki Kauno miesto ~ 50 km
• Artimiausias darželis:
~ 8 km Elektrėnų vaikų lopšelis-darželis "Drugelis";
~ 9 km Elektrėnų lopšelis-darželis "Pasaka".
• Artimiausia mokymo įstaiga:
~ 100 m Kietaviškių pagrindinė mokykla;
~ 7 km Elektrėnų "Ąžuolyno" progimnazija;
~ 8 km Elektrėnų pagrindinė mokykla;
• Artimiausia parduotuvė
~ 240 m. "Kalno" parduotuvė;
~ 1,5 km "Giris" parduotuvė;
~ 5,3 km "Aibė" Liutonyse
~ 7,5 km „Maxima" Elekrėnuose
SKLYPO KORDINATĖS:
54.761045, 24.593695 Visus naujausius CAPITAL nekilnojamojo turto skelbimus rasite mūsų internetiniame puslapyje www.capital.lt. Kviečiame apsilankyti!
MALONIAI KVIEČIAME ATVYKTI IR PAMATYTI NAMĄ GYVAI!
Ieškote, parduodate ar nuomojate nekilnojamąjį turtą?
- Visada rasiu laiko Jums ir padėsiu visais su nekilnojamuoju turtu susijusiais klausimais!
Netiko kaina? Teikite savo pasiūlymą - būtinai apsvarstysime!
SKAMBINTI GALITE IR SAVAITGALIAIS - sutarsime Jums patogų apžiūros laiką.
_________________________
RIČARDAS NOSEVIČIUS
Mob. tel.: +37061817321
Nuotraukos
